Standard format plan and group titles plan maintenance

standard format plan (SFP), also known as a group titles plan (GTP), defines land horizontally, using marks on the ground or a structural element of a building (e.g. survey pegs in the ground or the corner of a building).

This information applies to:

Who is responsible

To work out who is responsible for maintaining something, find out which plan of subdivision your development is registered under. This can be a:

  • ‘standard format plan’ or ‘group titles plan’

or

You can find out this information on your body corporate’s ‘survey plans’. Contact Titles Queensland to find your survey plans.

Defining lots and common property

A community titles scheme registered under SFP or GTP can include a townhouse complex where each lot has a building and a yard. The boundaries of lots in the scheme are defined by the measurements shown on the survey plan and any marks put on the ground when the survey was done.

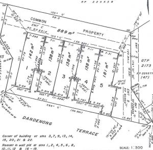
View larger image Standard format plan Enlarge image
Diagram of a standard format or group titles plan.

This diagram of an SFP or GTP shows 5 lots and an area of common property. Each boundary on the plan is clearly defined using the reference marks.

Body corporate maintenance

The body corporate is usually responsible for maintaining:

  • roads, gardens and lawns on common property
  • facilities on common property (like swimming pools and barbeques)
  • utility infrastructure (like equipment, pipes and wiring) that is on common property, or in a boundary structure, or services more than 1 lot.

Lot owner maintenance

The lot owner is generally responsible for:

  • the inside of the building, including all fixtures and fittings (except utility infrastructure that is common property)
  • the outside of the building within their lot boundary, including exterior walls, doors, windows and roof
  • the building foundations
  • all lawns, gardens and driveways inside the boundary of their lot
  • utility infrastructure (like equipment, pipes and wiring) that is inside the boundaries of the lot and only services that lot
  • any fixtures or fittings (including on common property) that were installed by the occupier of a lot for their benefit
  • exclusive use areas the owner has the benefit of, unless the exclusive use by-law says otherwise.

For more information see:

Easements

Statutory easements can also impact maintenance responsibilities in schemes under the BUGT Act.

For more information see statutory easements in the BUGT Act.

Paying for maintenance

The body corporate must consider its spending limits and budgets if it needs to spend money on maintenance.

The body corporate cannot pay for, or levy owners for, maintenance that a lot owner is responsible for (such as painting the building), unless it:

  • has an agreement with an owner

and

  • charges that owner for the cost of the work.

BCCM Act

A body corporate under the BCCM Act can carry out maintenance and recover the ‘reasonable cost’ from the lot owner if the owner has not done maintenance required under:

  • body corporate legislation
  • a notice given under other legislation
  • the community management statement, including the by-laws
  • an adjudicator’s order
  • the order of a court or tribunal.

BUGT Act

A body corporate under the BUGT Act may carry out maintenance and recover the cost from the lot owner if the owner has not done  maintenance required under:

  • a notice served on the owner by a public authority or local government
  • an obligation in an exclusive use by-law
  • a referee’s order.

Standard format plan webinar

Learn more about maintenance responsibilities in community titles schemes registered under a standard format plan of subdivision under the BCCM Act.

Duration 00:23:01 |

The 2 common types of survey plans for community titles schemes in Queensland are building format plans (previously known as a building unit plan) and standard format plans (previously known as a group title plan). Today’s webinar will focus on standard format plans.

Topics

We will be discussing several key topics relating to standard format plans. These topics are:

  • Standard format plan boundaries
  • Maintenance responsibilities
  • Exceptions to owner responsibility
  • Standard format plan versus building format plan
  • The use of body corporate funds
  • Supply of services
  • Lot improvements
  • Insurance in a standard format plan

Please note that while there will be references to Standard Module sections throughout the presentation, the information in this webinar mostly applies to all the regulation modules. However, there are some differences if your body corporate is governed by the Two-lot Schemes Module, as there are no committees or general meetings. The body corporate under the Two-lot Schemes Module makes decisions by lot owner agreements.

Tips to start

It is not always clear whether maintenance is a body corporate responsibility or whether it is the responsibility of an individual owner. The general position is that common property maintenance is the responsibility of the body corporate, while maintenance of a lot is mostly the responsibility of an individual owner. Therefore, a key question when working out who is responsible for maintenance is: what is common property and what is part of my lot?

The critical first step is finding out which plan of subdivision your scheme is registered under. Many residents do not know the plan of subdivision for their body corporate. If you need to confirm the plan of subdivision, you can contact the Titles Registry Office to obtain a copy of your scheme’s registered survey plan.

Standard format plan boundaries

The survey plan shows the boundaries of the common property and the lots in your scheme. These boundaries will be defined differently depending on the plan type. The diagram that you can see in the slide represents a standard format plan scheme.

A standard format plan cannot apply to a multi-story building block. According to the Land Title Act 1994, a standard format plan must be surveyed at ground level. A common example of a community titles scheme registered under a standard format plan is a townhouse complex, where the individual lots typically consist of a building and a yard. The lot boundaries are defined by the measurements shown on the survey plan and any marks placed on the ground at the time of the survey.

Under a standard format plan, land is defined horizontally with reference to marks on the ground or a structural element of a building. For example, posts or survey pegs in the ground, or the corner of a building. The boundaries are unlimited under the ground and into the air.

To obtain a comprehensive interpretation of the plan and exact measurements of the boundaries, you may require the services of a qualified surveyor, as our office is unable to interpret plans.

The common property will usually be marked as common property. The darker line inside the main outer boundary of the scheme land shows the boundaries of the lots.

Body corporate maintenance responsibilities

The legislation provides that the body corporate must maintain common property in good condition.

The body corporate will generally be responsible for maintaining things such as gardens, lawns and roads situated on the common property. Facilities like swimming pools, tennis courts and barbecues on the common property are also typically the body corporate’s responsibility.

In addition, the body corporate is obliged to maintain utility infrastructure that forms part of the common property. We will discuss utility infrastructure and how to determine whether it forms part of the common property later in the presentation.

Owner maintenance responsibilities

An owner’s maintenance responsibilities can be greater under a standard format plan, as much more of the building is classified as part of their lot. In line with Section 211 of the Standard Module, any structural and non-structural maintenance of most building elements situated within the lot boundaries is typically the responsibility of an individual lot owner. As discussed earlier, as the boundaries are unlimited under the ground and into the air, an owner will normally be responsible for the building foundations and any roofing structures. If the roof is shared between 2 or more lots the owners of the lots may be jointly responsible for their portion of the roof that requires maintenance.

A lot owner is also usually responsible for gardens, lawns or driveways within their lot boundaries.

Common walls

Following on from the topic of owner maintenance is the issue of common walls. Under a standard format plan, it is frequently the case that 2 lots share a common wall.

Although you will need to consult your survey plan to determine the exact boundary, it is commonly the centre of the wall structure. It follows that certain maintenance for a common wall may need to be divided between the 2 lot owners involved. As no common property is involved, the body corporate generally bears no responsibility.

Exceptions to owner responsibility within lot boundaries

As discussed earlier in the presentation, structural and non-structural maintenance of most building elements situated within the lot boundaries is typically the responsibility of an individual lot owner under a standard format plan. However, there are certain exceptions to owner responsibility inside lot boundaries.

Utility infrastructure such as pipes, cables, wires, drains, or gutters that service more than 1 lot—even if the utility infrastructure is situated within an owner’s lot boundaries—will usually be the responsibility of the body corporate.

In accordance with Section 20 of the Body Corporate and Community Management Act 1997, an owner will be responsible for utility infrastructure that:

  • services only their lot
  • is within their lot boundaries

and

  • is not within a boundary structure for the lot.

Standard format plan versus building format plan

To understand the higher level of owner maintenance under a standard format plan, it is instructive to note some of the key points of difference between the 2 main plan types when it comes to responsibility. These points of difference are highlighted in the townhouse diagram.

Under a standard format plan, a lot owner is generally responsible for maintaining the outside of the building within their lot boundaries, including the roof, exterior walls, doors and windows, and the building foundations. Conversely, under a building format plan, the roof, exterior walls, doors and windows situated in a boundary wall separating the lot from the common property, and the foundations are typically the responsibility of the body corporate to maintain.

These points of distinction highlight the importance of knowing the plan type when it comes to understanding who is responsible for maintenance. The plan type is key to understanding what is part of a lot and what is part of common property. For the owner of the townhouse in the diagram, maintenance responsibilities for the relevant features may be radically different depending on whether their scheme is under a standard format plan or a building format plan.

Case study 1: use of body corporate funds

We will now consider a scenario about the use of body corporate funds in a standard format plan scheme.

The committee noticed that there was a substantial sum of money in the sinking fund for major works to be undertaken. After some thought, they observed that the paint work on all the townhouses in the complex was faded or peeling away in parts. The committee concluded that the money in the sinking fund would be put to best use by repainting the exterior walls of all the townhouses in the complex with a fresh coat of grey paint. A key factor for the committee was the potential for increasing the value of each lot in the complex.

As the cost of the work was over the committee’s spending limit, they called an extraordinary general meeting so that the owners could vote. All owners in the complex except for 2 were happy with the motion and voted in favour of the painting job.

The 2 owners that voted against the motion raised concerns about using the body corporate’s funds in this way. As there was overwhelming support for the work and an ordinary resolution was all that was needed to pass the motion, the committee dismissed the concerns of the 2 owners.

In spite of the potential benefit to the scheme and the strong support from owners, the concerns of the 2 owners about the use of body corporate funds was warranted. It is a common misconception that a successful motion at a general meeting enables the body corporate to spend body corporate funds on maintenance or improvements as they please. However, this is not the case. There are limitations on the use of body corporate funds that cannot simply be overridden by a successful general meeting resolution.

As exterior walls are part of the lot in a standard format plan complex, the responsibility for maintaining them normally falls on an individual lot owner—not the body corporate. Body corporate funds should be not be used for maintenance work that owners are responsible for or improvements to individual lots.

Case study 2: supply of services

We will now consider a case study about supply of services by the body corporate in a standard format plan scheme.

In this scenario, the committee approached all 10 owners in the scheme to check if they were happy for the body corporate to arrange for the mowing of their lawns. Nine out of the 10 owners were agreeable to a supply of services by the body corporate to mow their lawns. Rodney, the owner of lot 7, insisted that he didn’t want the body corporate to organise mowing for him, as he takes pride in maintaining his own lawn. He receives many compliments about his perfect lawn. To cover their bases, the committee decided to propose a motion at an extraordinary general meeting so that owners could vote to approve a supply of services for each owner in the scheme. If mowing is arranged for at least 10 lots, there is a discounted price.

It is important to be aware that under the regulations it is possible for the body corporate to arrange maintenance or other services that owners are responsible for. Often, this may be a more convenient or cost-effective option than owners doing it themselves. Specifically, the legislation allows the body corporate to supply, or engage another person to supply, utility and other services for the benefit of owners and occupiers. Cleaning, pest prevention and mowing are some of the examples listed under the category of ‘maintenance services’.

In our scenario, even if the other owners in the scheme miss out on the discounted price because they are 1 lawn short, Rodney can insist on doing his own mowing. The body corporate cannot pass a motion at a general meeting to bind all owners to a supply of services. A supply of services arrangement will only be possible if the body corporate has an agreement with an individual owner or occupier. If the body corporate tries to force this arrangement on Rodney based on a general meeting decision, it could lead to a dispute application being lodged against the body corporate.

If the body corporate has an agreement with certain owners in the scheme for supply of services, the supply charges must be paid by each user. These supply charges should not be tacked onto the normal levies.

Improvements to your lot and the common property

You might think that the difference between maintenance and an improvement is relatively straightforward. In many situations this is true—me clear examples of maintenance might include painting a wall in the same shade where it is peeling away or mowing the lawn. On the other hand, installing a new air conditioning unit or swimming pool would clearly fall within the category of an improvement. However, the distinction between maintenance and improvements is not always clear cut.

Schedule 6 of the Body Corporate and Community Management Act 1997 says that an improvement includes:

  • the erection of a building
  • a structural change

or

  • a non-structural change (e.g. installing air conditioning).

Section 36 of the Acts Interpretations Act 1954 states that a ‘change’ includes additions, exceptions, omissions, or substitutions. While this provides some guidance on what is considered an improvement, it is not exhaustive.

For maintenance, there is no definition in the legislation.

Many residents incorrectly assume that if they are making improvements to their lot, there is no need to obtain body corporate approval first. It is more common for owners to make this mistake when the scheme is under a standard format plan, as much more is classified as part of the lot.

While the body corporate legislation does not restrict the changes an owner can make to their own lot, owners will still need to check the by-laws for their scheme to find out if there is anything regulating the type of changes they wish to make. For example, an owner in a standard format plan scheme might assume they can install solar panels on the roof without body corporate approval, as the roof is part of their lot and an owner responsibility. However, by-laws frequently require owners to seek the body corporate’s approval if they are changing the external appearance of their lot. An owner may be in breach of a by-law if they go ahead with renovations to their lot without seeking approval first.

Remember that by-laws change from scheme to scheme, so you will need to check the by-laws that specifically apply to your body corporate.

As required under Section 187 of the Standard Module, if an owner wants to make an improvement to the common property for the benefit of their lot, they must obtain the body corporate’s approval first. It can simply be committee’s approval if:

  • the installed value of the improvement is less than $3,000
  • the improvement does not detract from the appearance of any lot or the common property

and

  • the body corporate is satisfied that the use and enjoyment of the improvement is not likely to be a breach of the owner’s duties as an occupier.

If any of these conditions are not met, then the owner will need to seek approval at a general meeting of the owners by ordinary resolution.

Building insurance in a standard format plan scheme

There is often confusion about what is covered by body corporate building insurance. Most importantly for our purposes, body corporate building insurance does not cover maintenance. As discussed earlier in the presentation, the responsibility for maintenance rests either with individual owners or the body corporate.

Building insurance is only required to cover ‘damage’. The insurable events that fall within the definition of ‘damage’ are specified in the regulations. Some examples of the insurable events listed include damage from earthquake, fire and storm.

Whether or not the body corporate is required to obtain building insurance in a standard format plan scheme depends on whether there are common walls. For a standard format plan scheme, the legislation requires the body corporate to insure for the full replacement value each building that shares a wall with another building. Where there is a stand-alone building with no common walls, a lot owner will be responsible for their own building insurance.

However, there is still an option for the body corporate to set up a voluntary insurance scheme to insure those buildings that do not have common walls. Taking part in the voluntary scheme is optional for each lot owner with a stand-alone building.

Those owners who wish to take part in the voluntary insurance scheme must:

  • notify the body corporate of the replacement value of the building they wish to be insured
  • comply with the body corporate’s decision to establish the voluntary insurance scheme and the insurance policy

and

  • pay their portion of the insurance premium.

Other body corporate insurance

Even where the buildings are all stand-alone in a standard format plan scheme, the body corporate must still insure the common property and body corporate assets for their full replacement value.

The body corporate must also obtain public risk insurance for the common property and those body corporate assets it is practicable to maintain public risk insurance for. Public risk insurance must cover amounts the body corporate could become liable to pay for compensation for death, illness and injury, and damage to property. However, as the key focus of our presentation is on standard format plan maintenance, we will not discuss insurance in any further detail.

Information on body corporate insurance requirements can be found on our website if you would like to find out more.

Contact us and questions

Please find on this slide details to contact the Office of the Commissioner for Body Corporate and Community Management.